121
政府信息公开
/col/col56363/index.html
信息公开目录
/col/col56364/index.html
公告公示
/col/col61226/index.html?number=RCA21
首页
>
政府信息公开
>
信息公开目录
>
公告公示
索引号:
12371082MB2843001W/2022-06092
发布单位:
荣成市行政审批服务局
内容分类:
公告公示
成文日期:
2022-09-27
公开方式:
主动公开
公开范围:
面向全社会
有效性/截止日期:
文号:
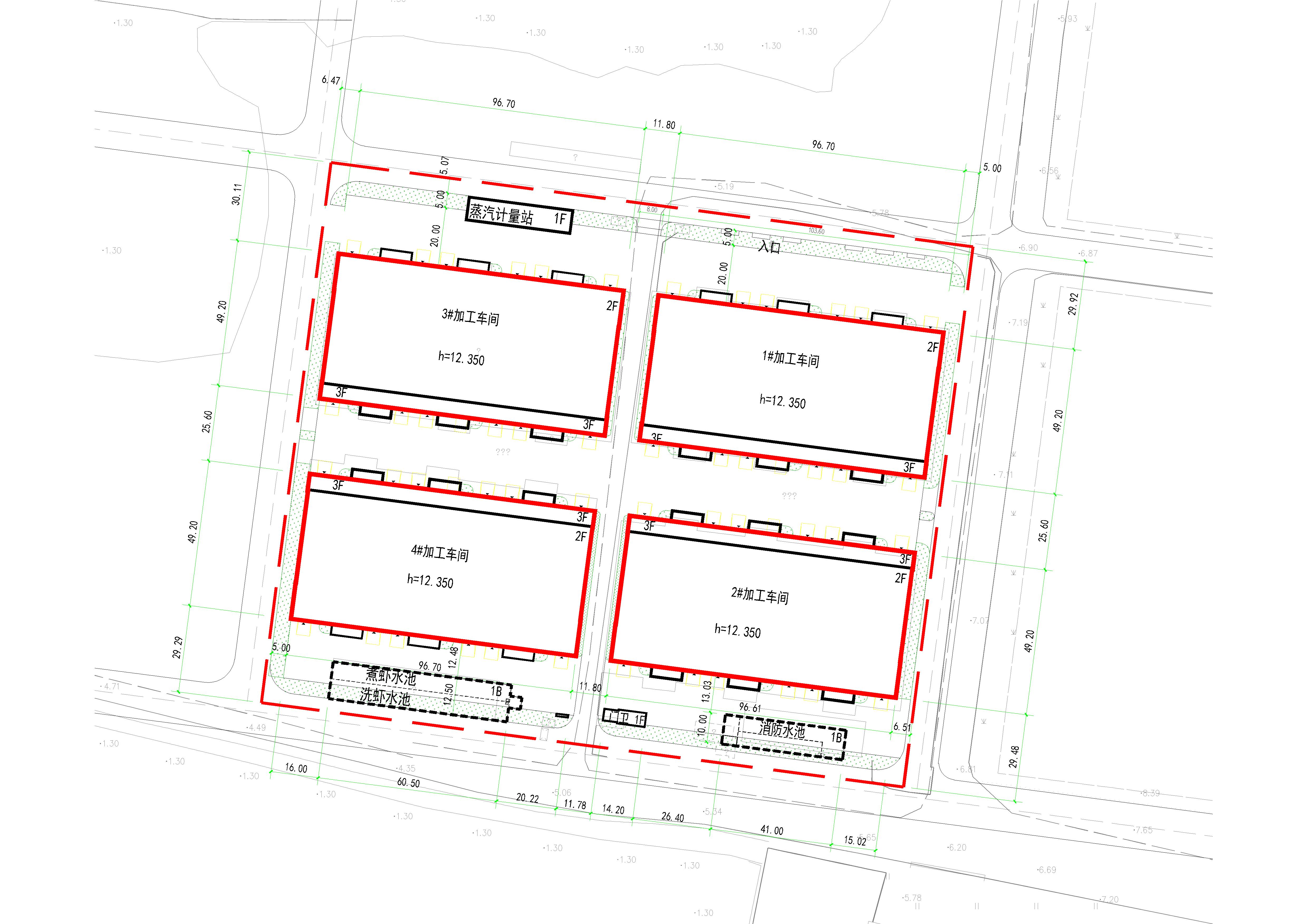
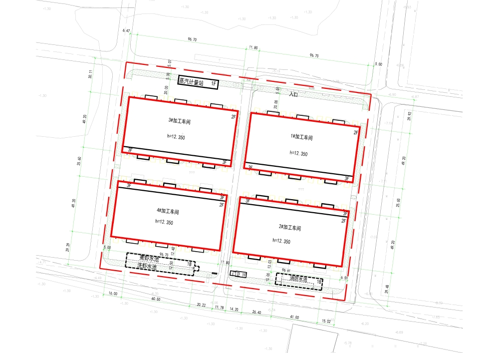
【批前公告】荣成市城建投资开发有限公司车间(4栋)项目建设工程规划许可
时间:2022年09月27日 08:44
来源:荣成市行政审批服务局
浏览次数:
打印